![]()
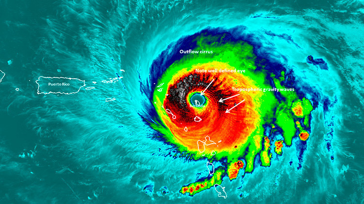
Esta isla caribeña no se comunica con el resto del mundo desde hace más de 12 horas, cuando empezó a sufrir los rigores del huracán Irma.
Fuente


![]()
Esta isla caribeña no se comunica con el resto del mundo desde hace más de 12 horas, cuando empezó a sufrir los rigores del huracán Irma.
Fuente