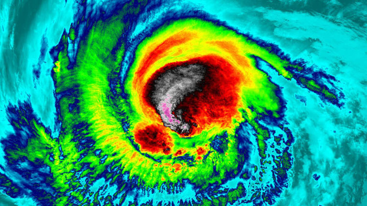
El huracán Irma ya es el más fuerte del Atlántico y su daño podría superar al del Katrina en 2005